Redescoberta na Chapada do Araripe: espécie de inseto é registrada no CE após mais de 110 anos
21 de novembro de 2025 - 14:41
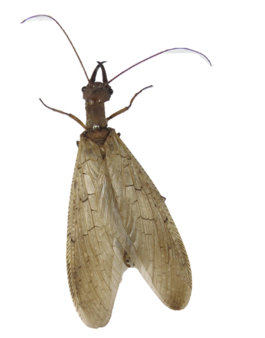
Pesquisadores da Universidade Regional do Cariri (URCA) registraram no Ceará, após 110 anos, a espécie de inseto megalóptero corídalo Corydalus diasi (Corydalidae: Megaloptera). A espécie estava ausente dos registros científicos do estado há mais de um século. O novo achado ocorreu durante coletas realizadas em riachos do município de Missão Velha, na região do Cariri, ampliando o conhecimento sobre sua distribuição geográfica e sobre os limites ecológicos da espécie.
A redescoberta é particularmente relevante porque Corydalus diasi era conhecida apenas a partir do material original de sua descrição, realizada em 1915 por Longinos Navás, com base em exemplares coletados em Fortaleza (Ceará, Brasil) e enviados pelo Sr. Dias da Rocha. Em homenagem ao doador do material, Navás adotou o epíteto específico diasi. Desde então, não haviam sido registrados novos exemplares confirmados da espécie. O material recentemente coletado em Missão Velha permitiu atualizar informações geográficas e ecológicas, incluindo detalhes sobre o habitat e as condições ambientais associadas à sua ocorrência.
Descoberta representa um marco

“Encontrar Corydalus diasi novamente depois de tanto tempo foi emocionante. Além do valor científico, essa redescoberta reforça a importância de continuar explorando e estudando a biodiversidade da nossa Chapada do Araripe, que ainda guarda muitas surpresas”, destaca Maria Dandara Cidade Martins, mestranda em Genética, Biodiversidade e Conservação pela Universidade Estadual do Sudoeste da Bahia (UESB) e egressa da URCA, responsável pelo registro.
O professor Carlos Eduardo R. D. Alencar, docente do Programa de Pós-graduação em Diversidade Biológica e Recursos Naturais (PPGDR-URCA) e orientador de Maria Dandara Cidade Martins, complementa: “A redescoberta não só representa um marco histórico para a espécie no Ceará, mas também evidencia que diversos grupos animais da Chapada do Araripe ainda são pouco conhecidos. Por isso, estudos de levantamento da biodiversidade são fundamentais para compreendermos a base da biodiversidade local”, afirma.
O professor Carlos Alencar também destaca que a pesquisa revisou todas as localidades conhecidas para a espécie, reunindo dados gerados pela equipe e informações provenientes de coleções científicas do Brasil e do exterior. Os resultados permitiram atualizar a distribuição geográfica de C. diasi, atualmente restrita à América do Sul, e propor sua primeira hipótese biogeográfica. O estudo, publicado na Revista Chilena de Entomología, contou ainda com a participação do egresso do curso de Ciências Biológicas da URCA, Edinardo da Silva Santos.
O trabalho reforça o papel da URCA na formação de pesquisadores e no avanço do conhecimento sobre a biodiversidade do Nordeste.
A publicação completa pode ser acessada no link:
https://www.biotaxa.org/rce/article/view/87622